Cteniopus sulphureus (EN)
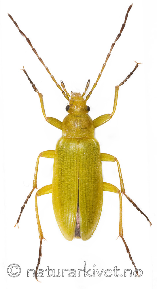
Tenebrionidae er en svært artsrik gruppe av biller der de fleste av artene er knyttet til tørre miljøer. De har derfor meget stor evne til å motstå uttørking. Når det gjelder størrelse og utseende varierer disse billene sterkt, men et fellestrekk er at frem- og mellomføttene (tarsene) er fem-leddet, bakføttene fire-leddet.
Cteniopus sulphureus tilhører underfamilien smalskyggebiller (Alleculinae ). Det er flere gamle funn fra flere steder i Oslo; nyere funn kun fra Hovedøya (Oslo) og fra en lokalitet i Seljord. Den er knyttet til kalkrike engene og tørrbakkene hvor arten utvikles i vill gulerot. Arten er trolig kraftig fragmentert og habitatet er på tilbakegang.
Kilde www.wikipedia.no og www.artsdatabanken.no
(en),
Alleculinae,
Animalia,
Art,
Arthropoda,
Biller,
Coleoptera,
Cteniopini,
Cteniopus,
Cteniopus sulphureus,
Cucujiformia,
Dyreriket,
Insecta,
Insekter,
Kamskyggebiller,
Leddyr,
Polyphaga,
Rødliste,
Rødlisteart,
Skyggebiller,
Sulphur beetle,
Svavelbagge,
Svovlgul skyggebille,
Tenebrionidae,
Tenebrionoidea
Digitalt bilde (1991x3647px)